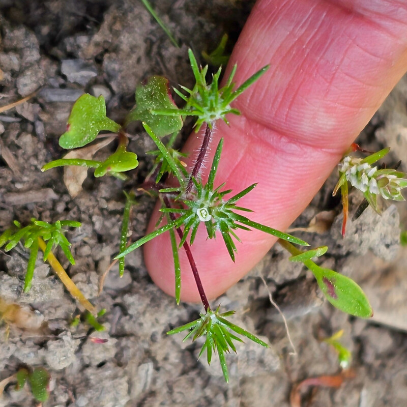
Original identification: Navarretia divaricata
Current identification: Navarretia divaricata
Photographer: Carmel Cameron
Date Photographed: June 15, 2025
Location: U.S.A., Oregon, Baker County: Balm Creek Reservoir.
Elevation: 4800 ft.
Coordinates: 44.978° N, 117.495° W
Datum: WGS 84
Coordinate Source: GPS
Phenology: Flowers